
Lankershim and West Lankershim are historical names for an area in what is now the greater North Hollywood section of the San Fernando Valley region of Los Angeles County, California.
Settlements
Lankershim was originally named Toluca.[1] The center of the town, laid out by James Boon Lankershim and his brother-in-law I.N. Van Nuys, was the "intersection of present day Chandler Blvd. and Lankershim Blvd."[1] Lankershim agreed to be annexed to the City of Los Angeles in 1923.[2][1] The intent of annexation was to connect the settlements access to the water from the Los Angeles Aqueduct system.[3] West Lankershim agreed to be annexed to the City of Los Angeles in 1919.[2][1] West Lankershim has been described as the "Valley Plaza area of North Hollywood"[3] or as basically what is now called Valley Village.[2]
The name of the local post office was changed from Toluca to Lankershim in 1912.[4] In 1925 the population of Lankershim was 2,000.[5] The current name North Hollywood was adopted August 15, 1927 to capitalize "on the glamour of Hollywood to the southeast."[2][6] The post office address was legally changed that day and "all the signs along Magnolia Boulevard, Lankershim Boulevard and other large highways have been painted out from signs and the new name substituted."[6]
Depot

Lankershim station opened 1886 as a Southern Pacific depot called Toluca and later functioned as a Pacific Electric station until 1952. It now houses a coffee shop across from the current NoHo station.
Library
The Lankershim branch of the Los Angeles Co. Free Library was established November 1914 and located at the "newspaper office."[7] The Lankershim branch was located at 11228 Margate Avenue c. 1921.[8] The Lankershim branch officially joined LAPL in February 1924,[9] and was renamed in 1927 and became the Sidney Lanier branch.[10] The branch moved to its current location in 1929.[9]
Gallery
Twenty-horse harvester at work in a Van Nuys-Lankershim (Los Angeles Farming and Milling Company) field c. 1905-1908
Lankershim on automobile route map, 1917
Lankershim post office application
Map attached to post office name change application
USGS topographical map, 1924
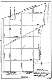
Lankershim Addition No. 1
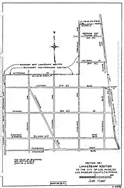
Lankershim Addition No. 2
References
- 1 2 3 4 Architectural Resources Group, Inc. (2013-02-26). "Development History". SurveyLA: Historic Resources Survey Report North Hollywood‐Valley Village Community Plan Area (PDF). Pasadena, California: historicplacesla.org. pp. 10–13.
- 1 2 3 4 "[Birdseye View of North Hollywood] Here is North Hollywood Park - Barry Lawrence Ruderman Antique Maps Inc". www.raremaps.com. Retrieved 2022-12-12.
- 1 2 Thrasher, Al (7 March 1965). "VILLAGE BECOMES CITY: Annex Plan Sparks Area History Review". Los Angeles Times. p. SF_B8. ProQuest 155137817.
- ↑ "Record Group 28: Records of the Post Office Department, Series: Reports of Site Locations California: Los Angeles A - L (NAID: 68228226)". catalog.archives.gov. Retrieved 2022-12-13.
- ↑ Rider, Fremont; Cooper, Frederic Taber (1925). Rider's California; a guide-book for travelers, with 28 maps and plans. New York: The Macmillan company: London, G. Allen & Unwin, ltd.
- 1 2 "LANKERSHIM NO MORE AS TOWN NAME: Valley City from Now on is to be Officially Known as North Hollywood". Los Angeles Times. 16 August 1927. p. A8. ProQuest 162078384.
- ↑ Library, California State (1918). News Notes of California Libraries. California State Library.
- ↑ Directors, Los Angeles Public Library Board of (1921). Annual Report of the Board of Directors of the Los Angeles Public Library and Report of Librarian.
- 1 2 "North Hollywood Amelia M Earhart Regional Branch History | Los Angeles Public Library". www.lapl.org. Retrieved 2022-12-12.
- ↑ Los Angeles School Journal. 1927.