Merseyrail
A Class 777 testing on the Wirral Line at Liverpool Lime Street
A Class 777 and Class 508 at Hightown
Overview
OwnerMerseytravel, Network Rail
Area servedLiverpool City Region and surrounding areas
Locale
Transit typeCommuter rail
Number of lines2 (plus main line commuter services)
Number of stations69 (67 managed[lower-alpha 1])
Annual ridership25.5 million (2022/2023)[3]
Chief executiveNeil Grabham [4]
HeadquartersRail House, Liverpool
Websitewww.merseyrail.org
Operation
Began operation1977 (1977)
Operator(s)Merseyrail Electrics 2002 (Serco and Transport UK Group)
Infrastructure manager(s)Network Rail
CharacterCommuter rail, National Rail franchise
Number of vehicles57
Train length3 or 4 cars, 6 or 8 cars during peak times
Headway15 minutes (general), 5 minutes (central sections), 30 minutes (Ellesmere Port branch, general in evenings and on Sundays)
Technical
Track gauge4 ft 8+12 in (1,435 mm) standard gauge
Electrification750 V DC third rail
System map

Unofficial map depicting the Merseyrail network and surrounding lines

Merseyrail is a commuter rail network which serves Merseyside and adjacent areas of Cheshire and Lancashire. Merseyrail serves 69 stations, 67 of which it manages,[lower-alpha 2] across two lines – the Northern Line and the Wirral Line. The network uses 750 V DC third rail electrified lines having 75.0 miles (120.7 km) of routes, of which 6.5 miles (10.5 km) are underground. Since January 2023, Merseyrail commenced replacing its train fleet, withdrawing the Class 507 and 508 trains and introducing 53 new Class 777 trains.[5][6] The network carried 25.5 million passengers in the 2022/2023 statistical period.[7]

The concession to operate Merseyrail is held by Merseyrail Electrics 2002, a joint venture between Serco and Transport UK Group (formerly Abellio UK).[8][9] The concession is awarded by Liverpool City Region Combined Authority and is overseen by Merseytravel, the passenger transport executive which co-ordinates public transport across the Liverpool City Region. Merseyrail branding and ticketing is also applied to stations on the City Line, which are within the Liverpool City Region but do not form part of the Merseyrail concession.

Merseyrail was established in 1977, when existing railway lines were connected by constructing new tunnels under Liverpool city centre and Birkenhead. The network has since been extended at its peripheries, primarily by electrifying existing lines and transferring the electrified sections into Merseyrail. New stations have also been opened. Seven of the Class 777 trains can operate using batteries, which has allowed the Northern Line to extend beyond the electrified track at Kirkby to a new terminus at Headbolt Lane.[5]

Network

Geographic map of the Merseyrail network, City Line, and minor routes.
  Primary route
  Secondary route
  Rural route
  Goods line
  Disused line

The self-contained network is operated by Merseyrail Electrics 2002, a 50:50 joint venture between Serco and Transport UK Group. Two lines known as the Northern Line and the Wirral Line compose the electric third-rail part of the network, which has service frequencies of 15 minutes in outlying areas converging to rapid transit frequencies in central sections. The lines are electrified throughout using a 750 V DC third rail system. The City Line, marked red on the map, is operated primarily by Northern with funding from Merseytravel.

The City Line is mainly electrified with one branch, the Liverpool to Manchester line via Warrington, operated by diesel trains.[10][11]

Trains on the Northern Line and Wirral Line cover the Liverpool City Region. The total route length of the two lines is 120.7 km (75.0 miles),[6] accommodating 67 stations.[6] The lines connect Liverpool city centre with cities and towns on the outer reaches of the city region, such as Southport, Chester and Ormskirk. Frequent intermediate stops serve other sections of the urban area.

Unlike similar networks in the UK, Merseyrail infrastructure is owned and maintained at a national level by Network Rail. As a self-contained system serving a single City Region, the Northern and Wirral Lines are exempt from the national rail franchising structure, which is instead the responsibility of local government. The City Line, which shares infrastructure with regional and high-speed services and trains with neighbouring mainline commuter services (particularly that of Manchester), is not part of this exemption.

A station sign with a large yellow 'M' logo and the name 'Old Roan' underneath. Icons mark rail and bus services.
A typical suburban Merseyrail totem at Old Roan station, marking an interchange with rail and bus services

The three lines interchange as follows:

Northern Line

The Northern Line is shown in blue on the Merseyrail[12] and Merseytravel[13] maps and denoted by the above wordmark on underground stations. Services operate on three main routes: from Hunts Cross in the south of Liverpool to Southport via the Link tunnel from Brunswick station through central Liverpool, from Liverpool Central to Ormskirk, and from Liverpool Central to Headbolt lane via Kirby. Each route operates a train every 15 minutes from Monday to Saturday, giving a frequent interval between trains on the central section. Some additional trains run at peak hours on the Southport line.

On matchdays at Everton F.C.'s Goodison Park and Liverpool F.C.'s Anfield, Northern Line services connect with the SoccerBus service at Sandhills station to transport fans to the stadia. Bus departures are at frequent intervals from Sandhills station with ticketing to combine both modes of travel. Kirkdale station is within walking distance of Goodison Park.

Connections to non-Merseyrail services are available at:

Wirral Line

The Wirral Line is shown in green on the Merseyrail[12] and Merseytravel[13] maps and denoted by the above wordmark on underground stations. Services operate from the four terminus stations of: Chester, Ellesmere Port, New Brighton and West Kirby. Each service from one of these the terminus stations runs through Hamilton Square underground station in Birkenhead, then through the Mersey Railway Tunnel, continuing around the single track underground loop tunnel under Liverpool's city centre. Trains head back into the Mersey Railway Tunnel to return to one of the four terminus stations.

Monday-Saturday services are every 15 minutes to/from Liverpool to Chester, New Brighton and West Kirby, and every 30 minutes to/from Ellesmere Port (Monday–Sunday). These combine to give a service at least every five minutes from Birkenhead Hamilton Square and around the loop under Liverpool's city centre.[14]

Connections to non-Merseyrail services are available at:

  • Bidston on the West Kirby branch for the Borderlands Line to Wrexham, operated by Transport for Wales;
  • Chester to Crewe and London Euston, Wrexham and Shrewsbury, the North Wales Coast line to Llandudno and Holyhead, and to Manchester either via Warrington or via Northwich and Knutsford;
  • Ellesmere Port for an infrequent service to and from Warrington;[14]
  • Liverpool Lime Street for intercity and regional trains to London Euston, Manchester, Birmingham, Wigan, Scotland, the Midlands and Wales.

City Line

Thatto Heath station is branded Merseyrail with trains operated by Northern.

The City Line is the brand name used by Merseytravel on services out of the mainline platforms of Liverpool Lime Street railway station to 26 stations on its sponsored network, and cross-boundary destinations outside of the Liverpool City Region. Merseytravel has policies in place to improve the service frequency, new services and to invest on the City Line. Despite the City Line being operated by other train operators than Merseyrail, it is marketed and branded as Merseyrail to meet the passenger transport executive's aims to provide the network with a local identity and shared fare and ticketing structures.[15][16][17] The line is depicted on signage and maps using the colour red and the above word mark.[12][13]

Unlike the Northern and Wirral lines, the City Line is not operated by the Transport UK Group, which operate under the name Merseyrail.[13][12]

The City Line covers the Liverpool City Region sections of the Crewe–Liverpool line, the two Liverpool–Manchester lines, and the Liverpool–Wigan line.[17][18] Two services are not electrified, the Manchester via Warrington Central and Chester via Runcorn.

Northern mainly operate the City Line with additional services operated by TransPennine Express, Avanti West Coast, East Midlands Railway, Transport for Wales, and West Midlands Trains.[13][18]

Services

Point-to-point or return tickets are purchased from staffed offices or ticket machines, but the system is tightly integrated with Merseytravel's City Region-wide pass system, which also encompasses the Mersey Ferries and city and regional bus networks. Merseytravel's smart ticketing is via the local MetroCard smartcard system, including Merseyrail travel.[19]

Typical weekday off-peak service on the Merseyrail-run Northern and Wirral Lines, as of May 2023, is as follows:

Northern Line
RoutetphCalling at
Hunts Cross to Southport4
Liverpool Central to Ormskirk4
Liverpool Central to Headbolt Lane2
Wirral Line
RoutetphCalling at
Liverpool Lime Street to New Brighton4
Liverpool Lime Street to West Kirby4
  • Moorfields (eastbound-only) / Liverpool Central (westbound-only), Liverpool James Street, Birkenhead Hamilton Square, Conway Park, Birkenhead Park, Birkenhead North, Bidston, Leasowe, Moreton, Meols, Manor Road, Hoylake
Liverpool Lime Street to Chester4
  • Trains serve either Green Lane or Bromborough Rake
Liverpool Lime Street to Ellesmere Port2
  • Moorfields (eastbound-only) / Liverpool Central (westbound-only), Liverpool James Street, Birkenhead Hamilton Square, Birkenhead Central, Green Lane, Rock Ferry, Bebington, Port Sunlight, Spital, Bromborough Rake, Bromborough, Eastham Rake, Hooton, Little Sutton, Overpool

Fleet

Current fleet

Class 507/508

Services on the electrified Merseyrail network are operated by British Rail Class 507 and Class 508 electric multiple unit trains (EMUs). These replaced pre-war Class 502 (originally constructed by the LMS) and similar Class 503 EMUs. There are 57 trains in service on the network.

The fleet was refurbished between 2002 and 2005 by Alstom at a cost of £32 million, involving trainsets being transported to and from Eastleigh works. Improvements to the trains included new high-backed seating, interior panel replacement, new lighting, the installation of a Passenger Information System and a new external livery.[20]

Class 777

On 28 January 2020, Swiss rolling-stock manufacturer Stadler Rail provided the first of a new fleet of 53 new train sets, designated Class 777, built at Stadler's factory in Bussnang, Switzerland. The final units were due to enter service in 2021.[21] The trains are based on the METRO platform, Stadler's product family for underground trains also used on the Berlin U-Bahn and the Minsk Metro. The new trains are a custom-built, bespoke design specifically for the Merseyrail network, with driver only and guard capability.[22] This differs from the previous fleet, which was built to a standard British Rail design for commuter services.

The new trains have an articulated four-car design, compared to the previous three-car units, with a significantly increased overall capacity and faster acceleration and deceleration, which gives reduced journey times. A combination of reduced weight of 99 tonnes, representing a 5.5 tonne weight reduction, and more efficient electrical systems will give a 20% reduction in energy use.

The trains are flexible, being capable of operating on a combination of any of 750 V DC third rail, 25 kV 50 Hz AC overhead wires, or full battery operation using a five-tonne battery, provided they have the correct equipment installed, giving operation beyond the current network.[23] As of April 2021, all trains are only equipped for 750 V DC third rail operation, along with a smaller battery for depot shunting.[24]

The National Union of Rail, Maritime and Transport Workers opposed driver-only operation on the new fleet, which they said would put passenger safety and security at risk.[25] Following a period of strike action, an agreement was reached to guarantee a guard on every train.[26]

Merseytravel has an option for a further 60 Class 777 units as part of the contract, which if exercised would see a total of 113 trains built if services are extended to new destinations such as Helsby, Skelmersdale or Wrexham.[21] The deal also involves the transfer of 155 of Merseyrail's maintenance workers and the operation of its maintenance depot at Kirkdale to Stadler Rail Service.[27] The transfer of Kirkdale depot and Merseyrail engineering personnel took place in October 2017, as construction work to modernise the depot, which is the planned maintenance hub for the Class 777s, commenced.[28]

The first Class 777 unit entered into service on the Northern Line on 23 January 2023.[29][30] Initially they are being used on the Kirkby route, followed by the Ormskirk route.[31] The remaining units will be deployed to the rest of the Northern Line and the Wirral Line later in 2023.[31]

Class 777 battery trains

The Class 777 trains are capable of being propelled via onboard battery sets. The battery set per car can be up to 5 tonnes in weight. The batteries can be charged via a rail terminal charger and while operating on electrified tracks.[21] When the Headbolt Lane extension was unveiled to the public, it was also announced that the original order of 52 units was increased to 53 to allow for some units to undergo battery trials.[32]

Following on from the trial, it was announced in July 2021 that the units tested had been able to travel up to 20 miles (32 km) without the need for recharging. The battery-powered trains run to Headbolt Lane station in Kirkby.[33] The technology opens up the possibility of the trains serving routes to destinations such as Wrexham, Preston, Wigan and Warrington.

Class Image Type Top speed Number Carriages Routes operated Built In service
 mph   km/h 
507 EMU 75 120 22[34] 3 1978–1980 1978–present
508 9[35] 3 1979–1980 1979–Jan 2024
777 METRO EMU
BEMU
53 4 20182021 2023–present

Past fleet

A Class 503 train on the Loop (Wirral) line. This train was one of the original batch built by the LMS in 1938

The original service on the Merseyrail lines was provided by Class 502s on the Northern Line and Class 503s on the Wirral Line. The former was withdrawn by 1980 and the latter by 1985.[39]

Introduced from 1978 and 1979 respectively were 33 Class 507 and 43 Class 508 trains. Since the 1990s, fifteen Class 508s have been withdrawn as surplus and have later transferred to other operators, with three Class 507 and 508 units, including unit 507006 after a crash at Kirkby in March 2021,[40] written off following accidents. In 2022, further withdrawals of the trains began, having been replaced by Class 777s.

The following table shows trains withdrawn since 2022.

Class Image Type Top speed Carriages Number Routes operated Built Withdrawn
 mph   km/h 
507 EMU 75 120 3 8 1978–1980 2022-2023
508 EMU 75 120 3 7 1979–1980 2022-2023

Depots

A blue and grey maintenance vehicle stands at James Street underground station
Modern departmental MPV at James Street – Unlike the London Underground and Tyne and Wear Metro, Merseyrail's track maintenance is the responsibility of Network Rail.

The electric fleet is maintained and stabled at Stadler's maintenance depot and United Kingdom headquarters at Kirkdale and Birkenhead North TMD.[41] Minor repair work and train cleaning is undertaken at Kirkdale, while overhauls are completed at Birkenhead. The roles will be reversed once the Class 777 trains fully replace the existing fleet.[42] Other depots at Hall Road and Birkenhead Central were closed in 1997, and the former was demolished in April 2009.[43] The Birkenhead Central depot is proposed for reopening.[44]

There are also two depots near Southport station: Southport Wall Sidings and Southport Carriage Holding Sidings.

Franchise and concession history

As a result of the privatisation of British Rail, the Northern Line and Wirral Line were brought together as the Mersey Rail Electrics passenger franchise, being sold on 19 January 1997. Although franchises are awarded and administered on a national level (initially through various independent bodies, and later the Department of Transport directly), under the original privatisation legislation of 1993, passenger transport executives (PTEs) were co-signatories of franchise agreements covering their areas – this role being later modified by the Railways Act 2005.[45]

The first train operating company awarded the Mersey Rail Electrics franchise contract was MTL. MTL was originally the operating arm of Merseytravel but had been privatised in 1985. The brand name Merseyrail Electrics was adopted by MTL.

The Merseyrail name became the official brand for the network in the days of British Rail, surviving several franchise holders, although the name was not used by Arriva when holding the franchise. Despite this, Merseytravel continued the Merseyrail branding at stations, allowing the name to be adopted colloquially. With acquisition by Arriva, the train operating company was rebranded Arriva Trains Merseyside from 27 April 2001. Merseyrail is referred to as "Merseyrail Electrics" by National Rail Enquiries, and as "Serco/Abellio Merseyrail" by Merseytravel.

The City Line was also privatised under the 1993 Act, but as part of a different, much larger North West Regional Railways (NWRR) franchise. Upon sale on 2 March 1997, the first train operating company awarded the NWRR franchise contract was North Western Trains (owned by Great Western Holdings). The train operating company was later bought by FirstGroup and rebranded First North Western.

The third-rail electric Northern and Wirral Lines were largely isolated from the rest of the National Rail network with no through passenger services to or from outside the third-rail Merseyrail network. A decision was to transfer the network into exclusive Merseytravel control, being removed from the national franchising system. The Secretary of State exempted the two lines from being designated as a national railway franchise under the 1993 Act.[46]

When the Mersey Rail Electrics franchise was due for renewal, coming into force on 20 July 2003, Merseytravel contracted the operation of the two lines with a concession extending for up to 25 years. The first successful bidder was Merseyrail Electrics (2002) Ltd, a joint venture between Serco and NedRailways (renamed Abellio in 2009).[45]

The City Line, which was largely diesel-operated at the time, was not included in 2003 franchise, continuing as a part of the nationally administered rail franchise system. From 11 December 2004, the NWRR franchise was merged into a new Northern franchise. The first train operating company awarded this franchise contract was Northern Rail, also owned by a Serco-NedRail (Abellio) joint venture. This franchise passed to Arriva Rail North on 1 April 2016 and then to Northern Trains on 1 March 2020.

Due to the isolation of the Northern and Wirral Lines, Merseyrail Electrics (2002) Ltd are keen to adopt vertical integration – taking responsibility for maintenance of the track from Network Rail. The current managing director of Merseyrail is Andy Heath.[47]

Performance

Operating as a self-contained network means there are relatively few problems because there is little conflict with other train operating companies. Merseyrail has publicly committed to aiming to be the best train operating company in the United Kingdom.[48][49]

In February 2010, Merseyrail was named the most reliable operator of trains in the United Kingdom, with a reliability average of 96.33% during 2009–2010, the highest ever achieved by any United Kingdom train operator.[50]

In 2023, Merseyrail was audited by the UK Government Office of Road & Rail; it found poor performance with 26.2% of trains being delayed by 4 or more minutes and a cancellation rate of 2.2%, an increase of 1.1% on the previous year.[51]

Enforcement of by-laws

Merseyrail employs a team of officers who enforce railway by-laws relating to placing feet on seats, travelling without tickets, and other kinds of anti-social behaviour. The enforcement of the 'feet on seat' by-law by Merseyrail was judged to be "draconian" in September 2007 by local magistrates.[52] However, Merseyrail stated that it did not want to take offenders to court, but was not allowed to fine offenders otherwise (unlike people who smoke on trains or station platforms).[53] Merseyrail claimed its stance was based on customer feedback and would reduce anti-social behaviour on the system.[54]

History

Collection of separate railways

The Illustrated London News featuring the opening of the Mersey Railway Tunnel

The present Merseyrail system was merged from the lines of five former pre-Grouping rail systems:

The nucleus of the system was the Mersey Railway, which opened from Liverpool James Street to Green Lane, Birkenhead, running through the 1886 Mersey Railway Tunnel, one of the world's first underwater railway tunnels.[14] The tunnelled route was extended to Liverpool Central in 1890. A tunnelled branch to Birkenhead Park was added in 1888 to connect with the Wirral Railway and the original line was extended to Rock Ferry to connect with the Birkenhead Woodside to Chester line in 1891.[56]

The Mersey Railway was electrified in 1903 being the world's first full electrification of a steam railway.[14] This was followed by the separate Lancashire and Yorkshire Railway line from Liverpool Exchange to Southport, which was electrified in 1906. The electrification of the former Wirral Railway lines to New Brighton and West Kirby took place in 1937 and allowed through running into Liverpool via the Mersey Railway tunnel.

Creation of Merseyrail

The programme of route closures in the early 1960s, known as the Beeching Axe, included the closure of two of Liverpool's mainline terminal stations, Liverpool Exchange and Liverpool Central (High Level), and one on the Wirral, Birkenhead's Woodside Station, leaving only one mainline station serving all of Merseyside at Liverpool Lime Street. Riverside terminal station at the Pier Head later closed due to the demise of the trans-Atlantic liner trade in 1971. The Beeching Report recommended that the mostly-electrified suburban and outer-suburban commuter rail services into Exchange and Central High Level stations from the north and south of the city be terminated. Long and medium-distance routes would be concentrated on one mainline terminal station at Lime Street station serving Liverpool, the Wirral and beyond.

Liverpool City Council took a different view, proposing the retention of the suburban services and integrating them into a regional electrified rapid-transit network by linking all lines via new tunnels under the centres of Liverpool and Birkenhead. As well as ease of transport around most of Merseyside, the proposed network would offer all urban line areas ease of access to the remaining mainline station at Liverpool Lime Street and divert urban routes from the mainline terminus station to underground rail in Liverpool's centre; this would release platforms from urban use, leaving the mainline station to focus on mid- to long-haul routes. This approach was supported by the Merseyside Area Land Use and Transportation Study (the MALTS report).[57] Merseyrail was born when Liverpool City Council's proposal was adopted.[58] However, not all of the electrified sections were saved; as part of the Beeching cuts, the Southport to Preston line was to be axed, and rather than keeping the electrified section between Southport and Crossens it was closed in 1964.[59]

The Merseyside Passenger Transport Authority, later named Merseytravel, was formed in 1969 with representatives from all local authorities, taking responsibility for the local rail lines identified to be incorporated into the new network, known as 'Merseyrail'. At that time, the lines out of Liverpool Exchange, Liverpool Central Low Level, Liverpool Central High Level and Liverpool Lime Street stations were separate. The existing electric and diesel hauled lines identified to become the new Merseyrail lines, the first stage of Merseyrail's creation, were named the 'Northern Line' (from Exchange and Central High Level), 'Wirral Line' (from Central Low Level) and 'City Line' (from Lime Street station) respectively.

The Strategic Plan for the North West (SPNW) in 1973 envisaged that the Outer Loop, the Edge Hill Spur connecting the east of the city to the central underground sections, and the lines to St. Helens, Wigan and Warrington would be electrified and all integrated into Merseyrail by 1991.[60]

To create the comprehensive rapid-transit network, four construction projects needed completion:

  1. Loop Line; a tunnel extending the Wirral lines in a loop around Liverpool's city centre, creating the Wirral Line.
  2. Link Line; a tunnel linking the lines north and south radiating out from under Liverpool city centre to be named the Northern Line.
  3. Edge Hill Spur; by reusing the 1830 Wapping Tunnel, recently closed in 1972, from Edge Hill junction in the east to Central Station, enabling eastern lines to access the underground city centre section.
  4. Outer Rail Loop; effectively a rail loop around the outer suburbs of the city and city centre using existing lines. The Northern Line would form the western section through the city centre. The loop would also be split into two loops, one north and one south of Liverpool's city centre, heading for the city centre's Central Station from Broad Green in the east via the Edge Hill Junction. A part of the scheme would be the construction of a six platform underground station at Broad Green where the two loops and the St.Helens/Wigan line met.[61]

Only the first two projects were constructed, creating the fully electrified third rail Northern and Wirral Lines. The last two were cancelled late in the project after some works had actually started. This isolated the City Line, preventing its full integration into the network: local services still entered the mainline Lime Street station, occupying platforms that could have been used for long-haul routes. In the decades following the commissioning of the resulting cut-down rapid-transit network, political moves were made to complete the full project, to fully incorporate the City Line into the network; but to no avail.[62] Until the 2015 electrification of the Lime Street to Manchester and Wigan lines, the City Line remained 100% diesel hauled, with the Lime Street to Warrington line still retaining diesel traction. Since its creation Merseytravel has sponsored the use of Merseyrail branding in stations and paid British Rail to brand local services in a Merseyrail livery.[61] This livery sponsorship ended with the privatisation of British Rail when operators adopted their own corporate train liveries.

The loop line (Wirral Line) and link line (Northern Line) built under Liverpool in 1977

The major engineering works required to create the Northern and Wirral lines became known as the 'Loop' and 'Link' Project, consisting of two tunnels. The 'Loop' was the Wirral Line tunnel and the 'Link' the Northern Line tunnel, both under Liverpool's city centre. The main works were undertaken between 1972 and 1977. A further project, known as the Edge Hill Spur, would have integrated the City Lines into the city centre underground network. This would have meshed the eastern section of the city into the core underground city centre section of the electric network, releasing platforms at mainline Lime Street station for mid to long haul routes. The Edge Hill Spur was not completed due to budget cuts.

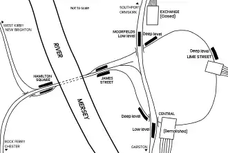
The Loop Line (Wirral Line)

The Loop Line is a single-track loop tunnel under Liverpool's city centre serving the Wirral Line branches. It was built to allow both greater capacity and a wider choice of destinations for Wirral Line users, which included the business and shopping districts of Liverpool city centre and the mainline Lime Street station. The loop extension offered direct mainline station access to Wirral residents after the decommissioning of the mainline Woodside terminal station in Birkenhead.

Trains from Wirral arriving via the original Mersey Railway tunnel enter the loop beneath Mann Island in Liverpool continuing in a clockwise direction through James Street, Moorfields, Lime Street and Central, returning to the Wirral via James Street station. The loop tunnel gave interchanges for passengers of the Wirral Line to the Northern Line at Moorfields and Central stations.[63]

The original Mersey Railway tunnel from James Street to Central station, in red, still exists. The Link line is shown in blue with the Loop line in green.

The purpose of the Link Tunnel was to link the separate urban lines north and south of the city creating a continuous north–south crossrail, called the Northern Line. A substantial section of the Northern Line had an additional function in completing the western section of a planned double-track electrified suburban orbital line, circling the city's outer suburbs, known as the 'Outer Rail Loop'. However, the eastern section of the Outer Rail Loop was never built due to budget cuts.[61]

The Link Line tunnel is a double-track tunnel that links two lines: One line running south from the city centre to Hunts Cross; another running north from the city centre to Southport, with branches to Ormskirk and Kirkby. One continuous line would be created, the Northern Line. The line provides direct access from the north and south of Liverpool to the shopping and business districts in the city centre via two underground stations, Liverpool Central and Moorfields, both of which also interchange with the Loop Line, which is an extension of the Wirral Line. The Northern Line effectively creates a north–south crossrail enabling passengers to travel from the south to the north of the city, and vice versa, via Liverpool city centre.

The present Northern Line underground station at Liverpool Central was originally the Mersey Railway terminus at Liverpool Central Low Level. A section of the original 1880s tunnel between James Street and Central stations was used to form the Link Tunnel. The remainder, between Paradise Street Junction and Derby Square Junction, was retained for use as a rolling stock interchange line between the Northern and Wirral Lines and also for a reversing siding for Wirral Line trains terminating at James Street when the Loop Tunnel is inoperative. The rolling stock interchange section of the tunnel is not used for passenger traffic.[64]

Hamilton Square Burrowing Junction

A burrowing junction was constructed at Birkenhead Hamilton Square station, to increase traffic capacity on the Wirral Line by eliminating the flat junction to the west of the station. This included a new station tunnel at Hamilton Square to serve the lines to New Brighton and West Kirby.

Liverpool Central South Junction

To the south of Liverpool Central Low Level Station, a new track layout was constructed as part of the Link Line project. This layout permitted the former Mersey Railway route from the north to be connected to the former Cheshire Lines Committee route running south from the closed Central High Level Station, allowing the Northern Line to be extended in a southerly direction to Garston and, later, Hunts Cross. It was accomplished by excavating the trackbed of the high-level tunnel to connect to the lower level tunnel of the two routes by means of a tunnelled gradient. As it was still necessary to accommodate a reversing siding to serve Central Low Level, and as the width of the high-level tunnel did not permit a three-track alignment, a new section of single-track tunnel was built for the Central to Garston line. This tunnel starts to the south of the station and rises to join the high-level tunnel.

At the time of construction, the opportunity was taken to construct two short header tunnels for the proposed Edge Hill Spur project (see below). Should the project go ahead, the connecting tunnels could be constructed without the need to obstruct rail services on the existing route. The junction arrangement would be a burrowing junction, as at Hamilton Square (see above), with the grade separation of tracks increasing capacity.[61]

Expanding the network (1977 – present)

Electrification since 1977

The Loop and Link project was followed by a programme of expansion, electrification and new stations, which built on the greater integration and capacity provided by the new infrastructure.

Walton to Kirkby

On 30 April 1977, Liverpool Exchange terminus station was closed as a part of the Link tunnel project to create the electrified Merseyrail north-south crossrail line named the Northern Line. Liverpool Exchange was the terminus of the northern Liverpool to Manchester route to Manchester Victoria via Wigan Wallgate station.

A tunnel under Liverpool's city centre, the Link tunnel, created the through crossrail Northern Line. The nearby Moorfields underground through station located on the new Link tunnel, serving the Northern and Wirral Lines, replaced Liverpool Exchange terminus station. Since diesel trains could not operate in the underground stations and tunnels for safety reasons, trains that had terminated at Liverpool Exchange terminus from Wigan Wallgate were terminated at Sandhills station as a temporary measure, which is the last surface station before the tunnel.

A year later in 1978, the short line electrification from Walton to Kirkby extended the Merseyrail network, creating a Northern Line branch terminus and interchange station at Kirkby. The line was electrified using the standard 750 V DC third rail Merseyrail system. The northern Liverpool to Manchester route was cut into two with differing modes of traction, electric and diesel. The diesel Wigan service terminating at Sandhills station was cut back to Kirkby. The Merseyrail electric and the Northern Rail diesel services use opposite ends of the same platform at Kirkby. Merseyrail and Northern Rail trains are generally timed to meet for ease of interchange.

Liverpool Central to Garston

In 1978 the Northern Line was extended south from Liverpool Central to Garston. This was made possible by inclining the tunnel into Central High Level from Garston to run down into the lower level tunnel entering Central Low Level from the opposite end of the station forming one continuous tunnel. The linking of the two tunnels had been envisaged when the Mersey Railway was extended to Central from James Street in the 1890s, with the Mersey Railway ensuring the two tunnels were on the same alignment.

The diesel-hauled line from Liverpool Central High Level to Gateacre in the south of the city had been abandoned in 1972. On reopening under the Merseyrail brand, the electrified line never reached Gateacre as it once did, terminating three stations towards the city centre at Garston.

Garston to Hunts Cross

This short extension of electrified Merseyrail line at the southern end of the Northern Line opened in 1983. It facilitated passenger interchanging between the Merseyrail Northern Line services with the Merseyrail City Line and main line services from Lime Street. The reopened line passed under the West Coast Main Line Liverpool branch at Allerton but needed to cross the southern Manchester line via Warrington on the flat, which affected capacity.

Rock Ferry to Hooton, Chester and Ellesmere Port

Rock Ferry railway station had been a terminus for Wirral Line services since the Mersey Railway was extended there from Green Lane in 1891. Passengers for the lines to Chester and Helsby would change trains at this station from the electric service on to mainline services operated by steam and diesel. Rock Ferry became one of the terminals for the Merseyrail Wirral Line. In 1985 the line from Rock Ferry to Hooton was electrified and incorporated in the Wirral Line of Merseyrail, Hooton thus becoming a new terminus.

Hooton is a junction station where the line to Helsby via Ellesmere Port branches off the main Chester line. The line from Hooton to Chester was electrified in 1993, Chester thus becoming a terminus station of the Wirral Line. The line from Hooton to Ellesmere Port was electrified in 1994 and incorporated into the Wirral Line, Ellesmere Port thus also becoming a terminus and interchange station.

Kirkby to Headbolt Lane

In 2023, Headbolt Lane replaced Kirkby as the terminus of the Kirkby/Headbolt Lane Line. This expansion to the network became the first BEMU fleet in use for passenger services in the UK,[65] as there is no electrification past Kirkby, and instead relies completely on batteries.[66]

New stations

The former Holly Park Football ground, where Liverpool South Parkway Station now stands

A programme of new stations on the Merseyrail network expanded the coverage of the system. They are:

Liverpool South Parkway opened in 2006 on the site of Holly Park football ground of South Liverpool F.C. in South Liverpool. It is an interchange station between the Merseyrail Northern Line from Liverpool Central to Hunts Cross and the City Line from Liverpool Lime Street to Runcorn and Warrington Central and also mainline services. The station also includes a bus terminal and large car park and has frequent bus services to Liverpool John Lennon Airport. The station was formed from an amalgamation of the four-track Allerton station and the relocation of the Merseyrail Garston Station. Garston station was closed on the opening of the new facility, the first station closure on the Merseyrail network since Liverpool Exchange station in 1977.[61]

Accidents and incidents

On 26 October 2005, a Merseyrail Class 508 train de-railed in a tunnel on the approach to Liverpool Central underground station. All 119 passengers and train crew were evacuated safely; only the guard was injured. The cause was determined to be rail gauge spread caused by poor maintenance.[68]

On 11 January 2007, a train ran through a buffer stop at West Kirby. Two people were injured.[69]

On 30 June 2009, a train ran away at Kirkdale, running through a buffer stop and colliding with a wall. A passenger train had passed the site of the accident less than 5 seconds earlier. Merseyrail was fined £85,000 plus costs of £20,970.15 for offences under the Health and Safety at Work etc. Act 1974.[70]

On 22 October 2011, an intoxicated teenage girl died after falling between the train and platform at James Street station. The train guard was subsequently convicted of her manslaughter by gross negligence and was jailed for five years.[71]

On 13 March 2021, a Merseyrail Class 507 train collided with the buffer stop at Kirkby station. The cause was found to be that the driver of the train was using a mobile phone whilst driving. The distraction led him to enter the station at nearly three times the permitted speed. He was sacked and prosecuted, pleading guilty in February 2022 to a charge of endangering the safety of people on the railway.[72]

On 28 October 2022, a Merseyrail train derailed on the tracks just outside Liverpool Central underground station. The train was not in service at the time, and no one was injured.[73] In a statement released by Merseyrail it was stated a train "tripped a safety device that is designed to lead to a controlled derailment".[74]

On 5 October 2023, a Merseyrail Class 777 train crashed at Rock Ferry station after a "minor operational incident" and was taken out of service. No passengers were on board when the crash occurred and no injuries were reported.[75]

Future

A 1909 map showing some of the extensive rail lines around Liverpool

There have been various suggestions for ways to enlarge the Merseyrail network.[76] In August 2014, Merseytravel gave details of a 30-year plan for the network to be presented to the leaders of the city region.[77]

Some proposals would extend beyond the current Liverpool City Region area, while others would use former existing lines or track beds inside the area. In November 2016 the details of the next phase of the Merseyrail fleet were announced: if trains capable of use beyond the third-rail DC network are selected as replacements, various expansions can be achieved without electrification of the entire new route. The newly acquired Class 777 trains are capable of operating on non-electrified track, drawing this aspiration closer.[78]

In July 2021, the metro-mayor of the Liverpool City Region announced that bi-modal battery electric Class 777 trains will operate on Merseyrail, extending the network. He stated "This capability means they could eventually provide a direct service from as far as Preston and Wrexham."[79]

The Rail Strategy published in 2020 states:[80]

Other options that could be further developed by funders or stakeholders (to meet connectivity based conditional outputs) following this study could be:
  • Extending the Merseyrail network to Shotton (and possibly on to Wrexham);
  • Extending the Merseyrail network to Skelmersdale (and possibly on to Wigan Wallgate); and
  • Extending the Merseyrail network to Burscough Junction (and possibly on to Preston).

Proposed future stations

Liverpool Baltic station

The former St James railway station, now disused, is located on the corner of St.James' Place and Parliament Street in the Baltic Triangle district, having been closed in 1917. The station is in a deep cutting on the operational Northern Line tunnel section between Liverpool Central Station and Brunswick Station.

Liverpool City Region Combined Authority announced in August 2019 that it was planning to use part of a £172 million funding package to reopen St James Station in Liverpool City Centre.[81]

In 2020, a series of investments and land purchases advanced the case for a station at the site of St James in the Baltic Triangle.[82][83][84] Part of the Spatial Regeneration Framework for the area includes a new Baltic Triangle railway station.[85][86]

In April 2022, following a public vote, the new station was official confirmed as Liverpool Baltic station.[87]

Vauxhall station

In its 30-year plan of 2014, Merseytravel mentions the possibility of a new station between Moorfields and Sandhills in the Vauxhall area on the Northern Line.[88] A station at this location would serve the under construction Everton F.C. stadium at Bramley-Moore Dock, which is near to the Northern Line.

Tram-trains

In August 2009, it was reported that a new tram-train link to Liverpool John Lennon Airport and a link to Kings Dock from the east of the city had been proposed.[89]

  • Liverpool John Lennon Airport: the existing Northern Line and the City Line from Liverpool Lime Street to Liverpool South Parkway are being assessed. From South Parkway the tram-trains would transfer to a new tramway. Merseytravel commissioned a feasibility study into increasing rail links with the airport in 1995 but no further work has been undertaken.[90]
  • Kings Dock to Edge Hill: a link from Edge Hill in the east of the city to the Arena at Kings Dock in the city centre was also being considered.[89]

Battery train trials

The Liverpool City Region Combined Authority Long Term Rail Strategy document of October 2017 stated that trials of new Merseyrail battery trains would be undertaken in 2020. The aim was to extend the electric network onto unelectrified track. A number of lines were targeted for electric third rail/battery train trials, for network extension. Merseyrail Class 777 electric trains have the capability to operate on unelectrified track, which otherwise would not be considered for track electrification on cost grounds.[91] The lines chosen for the trials are:

  • Ellesmere Port to Helsby: the Liverpool City Region Combined Authority Long Term Rail Strategy document of October 2017 stated on page 37 that a trial of new Merseyrail battery trains will be undertaken in view to incorporate the 5.2-mile (8.4 km) stretch of track from Ellesmere Port to Helsby interchange station onto the Merseyrail network. A successful outcome may make Helsby one of the terminals of the Wirral Line replacing Ellesmere Port, with Stanlow and Thornton and Ince and Elton stations brought into the network.[91]
  • Ormskirk to Preston: the Liverpool City Region Combined Authority Long Term Rail Strategy document of October 2017 also mentioned on page 37 the incorporation of Preston onto the Merseyrail network by extending the Merseyrail Northern Line over 15 miles (24 km) from Ormskirk to Preston interchange station. The aim was to make Preston one of the terminals of the Northern Line, with Burscough Junction, Rufford and Croston stations brought onto the Merseyrail network. The document stated, "The potential use of battery powered Merseyrail units may improve the business case. This will be reviewed after the Merseyrail units have been tested for battery operation in 2020."[91]

The Liverpool City Region Combined Authority announced in July 2021 that the trial had been successful. The new units were able to travel up to 20 miles on the fitted batteries. This opens up the possibilities of the trains being used to serve other destinations such as Skelmersdale, Wrexham, Warrington and Runcorn.[33]

Extending the network via battery/electrification

Many proposals to electrify lines adding them to the existing Merseyrail network have been proposed over past decades. However, in 2017 the Department for Transport announced that electrification of lines in Britain will only be where necessary with many planned projects cancelled. Bi-modal trains with combinations of battery electric, hydrogen fuel cell and diesel engines are the preferred options.[92]

Merseytravel purchased Class 777 trains incorporating battery electric technology, having conducted trials on sections of unelectrified track with a view to incorporate into Merseyrail. The successful trials will curtail future full electrification of track. To meet the ambitions of the Liverpool City Region's Long Term Rail Strategy, Merseytravel have clear aspirations to extend the network beyond the current Merseyrail boundaries. Locations such as Skelmersdale, Wrexham and Warrington have been targeted.[93] Many of the lines that were proposed over the decades to be electrified are under consideration for battery electric operation.

Headbolt Lane to Wigan

Wigan Wallgate station

In 1977, the Liverpool to Kirkby section of the Liverpool-to-Bolton route was electrified being merged into Merseyrail. Kirkby became the terminus of the Northern Line Kirkby branch. The former through service to Bolton was split into two, with passengers making through journeys having to change at Kirkby from the Merseyrail electric network to the Northern Rail diesel network onwards to Wigan and Bolton.

The line from Kirkby to the Headbolt Lane station is operated by Class 777 hybrid electric/battery trains, running on battery only from Kirkby to Headbolt Lane.[94]

Electrifying track from Kirkby and extending the Northern Line to Wigan Wallgate was a long-term aspiration of Merseytravel in 2014. The extension was identified by Network Rail as a route where electrification would enable new patterns of passenger services to operate.[77][95][96] The aspiration was accelerated in March 2015 with the Electrification Task force placing electrification of the line from Kirkby to Salford Crescent in a Tier 1 priority category.[97][98] The operation of hybrid battery trains makes the extension to Wigan an easier proposition eliminiating expensive electrification, using battery operation from Headbolt Lane to Wigan.

Ormskirk to Preston

Preston station

Electrification from Ormskirk to the interchange station at Preston has been considered in conjunction with the Burscough Curves reopening, detailed below. It would re-establish the most direct Liverpool-Preston route which is one of Merseytravel's long-term aspirations.[95] However, in 2008 Network Rail said the benefit-to-cost ratio of the scheme was insufficient to justify this scheme in the near future[99] though the scheme continued to be mentioned by Network Rail.[96] Third rail battery electric train trials were undertaken in 2020 by Merseyrail on this section of track to provide a Liverpool to Preston service.[91]

Bidston to Wrexham

The north–south aligned Borderlands Line from Bidston south to Wrexham Central is operated by Transport for Wales using diesel trains on unelectrified track.[100] There have been various proposals to electrify some or all of the line over the years, all have been rejected. The current view is to operate battery-electric trains on the line. In March 2015, the introduction of battery powered trains was proposed for the Borderlands line by Network Rail.[101] The Network Rail document proposes using battery powered trains precluding full electrification of the line, also providing a cheaper method of increasing connectivity into the electrified Birkenhead and Liverpool sections of the Wirral Line. From the document:

"In the longer term, potential deployment of rolling stock with the ability to operate on battery power for part of their journey may provide the ability in an affordable manner to improve the service offering between the Wrexham – Bidston route and Liverpool."[101]

KeolisAmey Wales, the former operator of the Wales and Borders franchise, Transport for Wales, announced in 2018 that it was planning to use refurbished Class 230 metro trains using electric motor traction supplied with power by on-board batteries.[102] An on-board diesel generator charges the batteries, with regenerative braking extending the battery's charge. The Vivarail built trains were planned to serve the line between Wrexham and Bidston.[103][104] These planned new trains have put the full electrification of the line on hold. Welsh Economy Secretary, Ken Skates, stated that the Welsh government were in an advanced stage of talks with Merseytravel about running a direct service from Wrexham to Liverpool.[105] This intent was reinforced in July 2021.[106] Steve Rotheram, the Liverpool City Region metro-mayor, has expressed desires to operate Merseyrail Class 777 battery-electric trains on the Borderlands Line.[107]

Hunts Cross to Warrington

Warrington Central

The Strategic Plan for the North West (SPNW) envisaged in 1973 that the Liverpool to Warrington line would be electrified and integrated into the Merseyrail Northern Line by 1991, making Warrington Central a terminus.[60] In March 2015, the Electrification Task force placed electrifying the line from Liverpool to Manchester via Warrington Central in the Tier 1 priority category.[97] The Liverpool City Region's Long Term Rail Strategy has clear aspirations to extend the network to Warrington, using the introduction of the Class 777 trains as an enabler.[93]

Southport to Wigan

Southport to Wigan has been identified by Network Rail as a route where electrification in conjunction with extension of electrification from Ormskirk to Preston and reinstatement of the Burscough Curves would enable new patterns of passenger service to operate.[96] In March 2015, the Electrification Task force placed the electrifying of the line from Southport to Salford Crescent via Wigan in the Tier 1 priority category.[97][98]

Ellesmere Port to Helsby

Helsby interchange station. The line to the right is to Ellesmere Port, the line to the left is to Chester.

Helsby is an interchange station on the Chester to Warrington Bank Quay and Ellesmere Port to Helsby lines. Merging the line from Ellesmere Port to Helsby into Merseyrail would create a Liverpool to Helsby service, giving a smooth interchange from Merseyrail to all stations on the Chester to Warrington line. The Ellesmere Port to Helsby route is included in Merseytravel's rail strategy as a "long-term aspiration".[77][95] Third rail battery electric train trials were undertaken in 2020 by Merseyrail on this section of track using the new Class 777 battery/electric trains. The results may indicate that the network can be expanded to Helsby without further electrification.[91]

Other battery electric extensions

Runcorn East station

Liverpool City Region metro-mayor Steve Rotheram stated that the City Region is planning to extend the network "so it reaches communities right across our city region and beyond". The Liverpool City Region map displays desired extensions of Merseyrail including a Chester to Runcorn East line. This line would operate on a section of the Chester to Warrington Bank Quay line, incorporating the Helsby interchange station.[108] The Integrated Rail Plan proposes a new station at the next station, Warrington Bank Quay low-level. The new station were planned to serve HS2 and Northern Powerhouse Rail expanding the interchange.[109]

Reopening lines and track

Burscough Curves

The Burscough Curves were short chords linking the Ormskirk to Preston Line with the Manchester to Southport Line. The curves allowed northbound trains from Ormskirk to run directly to Southport to the west, and southbound trains from Preston to run west to Southport. The last regular passenger trains ran over the curves in 1962; the tracks were subsequently lifted. The reinstatement of the Burscough Curves would allow direct Preston-Southport & Ormskirk-Southport services providing an option of an alternative Liverpool-Southport route via Ormskirk. Network Rail has recommended that a strategy for the Burscough Curves be developed further.[96][99]

In a parliamentary debate on 27 April 2011, the Burscough Curves were a prime point of the debate. The transport minister wished to meet former Southport MP John Pugh regarding the reinstatement of the curves.[110] The latest refresh of Merseytravel's Long Term Strategy puts the opening of the curves in Network Rail's CP7 period.[111]

The new Class 777 Merseyrail trains have been tested for battery electric operation, with the prospect of using them on the Burscough Curves open to review.[112] Battery train introduction on the Merseyrail network may improve the business case to reopen the Burscough Curves, allowing Northern Line trains to travel from Ormskirk to Southport, giving two routes from Liverpool to Southport. If realised Burscough Junction, Burscough Bridge, New Lane, Bescar Lane and Meols Cop stations may be incorporated into Merseyrail.[91]

Edge Hill to Bootle

Liverpool2 Container terminal extension, which is served by the Bootle Branch line

Known as either the Canada Dock Branch line or the Bootle Branch line,[113] this is an unelectrified line running from Edge Hill Junction in the east of the city in a long curve to the container terminal to the north of the city. The line's last passenger trains were withdrawn in 1977. Being the only line currently into Liverpool docks, freight to Seaforth Container Terminal ensures constant use.[114] The line has been mooted on many occasions for electrifying and reopening to passengers, giving scope to reopen stations along its length: Spellow, Walton & Anfield, Breck Road, Tuebrook, Stanley, and Edge Lane.[77]

Network Rail investigated options for the Canada Dock Branch in its March 2009 Route Utilisation Strategy for Merseyside[115] and concluded that the expected benefits did not justify the investment in new infrastructure.

The Department for Transport's rail electrification document of July 2009 stated that the route to Liverpool Docks would be electrified via overhead wires. The Canada Dock Branch Line is the only line into the docks.[114] From the document:

70. Electrification of this route will offer electric haulage options for freight.
There will be an alternative route to Liverpool docks for electrically-operated freight trains, and better opportunities of electrified access to the proposed freight terminal at Parkside near Newton-le-Willows.

The document states "route to Liverpool docks for electrically-operated freight trains", which is the Bootle Branch line being the only line into Liverpool docks. However, the initial phases of electrification scheduled until 2016 do not list this line.[116] This delay may impede the efficiency of Liverpool docks container terminal which is being extended to accommodate the largest post-Panamax container ships increasing container throughput of the terminal by 25%, entailing increased usage of the line. Local residents are campaigning to have the majority of containers to be transported by rail easing road congestion and pollution, which may increase rail traffic even further.[117] This delay in electrification may delay any proposed passenger use for the line.

The Liverpool City Region Combined Authority Long Term Rail Strategy document of October 2017, page 37, states:

A long term proposal which will need to be considered alongside the developing freight strategy for the region and the expansion of the Port of Liverpool. The proposal envisages the introduction of passenger services which will operate from the Bootle Branch into Lime Street. An initial study is required to understand fully the freight requirements for the line and what the realistic potential for operating passenger services over the line is.[91]

It was announced in December 2019 that Liverpool City Council had commissioned a feasibility study to see about reopening the Canada Dock Branch to passenger traffic.[118]

North Mersey Branch

The North Mersey Branch from Bootle to Aintree is currently used only by engineering trains to gain access to Merseyrail tracks; however, Merseytravel has long-term goals to reopen and electrify the line.[77][95] The line was considered in the Merseyside Route Utilisation Strategy document, concluding that reopening could not yet be recommended. However, the Route Utilisation Strategy document went on to state:

The possibility of running passenger trains along the North Mersey and Bootle branches was examined by the RUS and cannot yet be recommended. However, future development and regeneration could lead to increased demand for such services. Any such passenger services would need to be implemented in a way that ensures current and future freight demand can be accommodated. There is also a possibility in the longer term of using other infrastructure, including the disused Wapping and Waterloo tunnels, to provide new journey opportunities.[115]

Skelmersdale Branch

The original now demolished Skelmersdale station. The track was lifted in 1963.

Skelmersdale lost its rail passenger service in 1956. The village was expanded into a new town from the 1960s. A number of proposals over the years have been put forward to connect Skelmersdale to the Merseyrail network.

In June 2009, the Association of Train Operating Companies called for the reopening of the line from Ormskirk to Skelmersdale as part of a £500 million scheme to open 33 stations on 14 lines closed in the Beeching Axe.[119][120] The report proposed extending the line from Ormskirk railway station by laying 3 miles (4.8 km) of new single track along the previous route towards Rainford Junction, at a cost estimated to be in the region of £31 million.[121]

In December 2012, Merseytravel commissioned Network Rail to study route options and costs of connecting to Skelmersdale with Merseytravel contributing £50,000 and West Lancashire Council contributing £100,000.[122] In 2014, the reopening of a section of the Skelmersdale Branch from Upholland to Skelmersdale town centre was proposed.[77] In January 2017, Lancashire County Council announced that the preferred site for the railway terminal station was the former Glenburn Sports College and Skelmersdale College's West Bank Campus.[123]

In the Liverpool City Region Combined Authority Long Term Rail Strategy document of October 2017, it was stated that Merseytravel was working with Lancashire County Council and Network Rail to develop a plan to extend the Merseyrail network from Kirkby through to Skelmersdale with third rail electrification under consideration.[91] The government gave assurances in April 2020 that the Skelemersdale link would be constructed.[124] However, the Department for Transport announced in July 2022 that it was rejecting the Strategic Outline Business Case, throwing the scheme into doubt.[125] The DfT instead suggested that better bus links with the Kirkby–Wigan rail line would be a cheaper way of improving connectivity for Skelmersdale.

Outer Rail Loop

West Derby station on the North Liverpool Extension Line, which was to be a part of Merseyrail's Outer Loop

The Orbital Outer Rail Loop was a part of the initial Merseyrail plans of the 1970s. The route circled the outer fringes of the city of Liverpool using primarily existing rail lines merged to create the loop. Liverpool city has a semi-circular footprint with the city centre at the western fringe against the River Mersey. The western section of the loop would parallel the river running through the city centre. The scheme was started along with the creation of Merseyrail however postponed due to cost cutting, with only the western section of the loop completed being a part of the current Northern Line.

The concept of using the former Cheshire Lines Committee's North Liverpool Extension Line[126] route through the eastern suburbs of Liverpool as the eastern section of a rapid-transit orbital route circling the outskirts of the city first emerged before the Second World War. The proposal was for a 'belt' line using the now demolished Liverpool Overhead Railway, which ran along the river front, as its western section. In the 1960s during the planning for Merseyrail, this was developed into the Outer Rail Loop scheme – an electric rapid-transit passenger line circling the outer districts of the city by using a combination of newly electrified existing lines and a new link tunnel under the city centre merging lines to the north and south of the city centre completing the loop.

A feature was that passengers on the mainline radial routes into Lime Street from the east and south could transfer onto the Outer Loop at two parkway interchange stations completing their journey to Liverpool suburbs avoiding the need to travel into the city centre, which would also relieve pressure on Lime Street station. Liverpool South Parkway was one of these stations opening thirty years after the initial proposal. The Outer Loop would have connected the eastern suburbs of the city: Gateacre, Childwall, Broad Green, Knotty Ash, West Derby, Clubmoor, and Walton with the city centre.[61]

As finally developed, the Outer Loop consisted of two sub-loops – a loop serving the northern suburbs and one the southern suburbs with both running through to the city centre from the east. The sub-loops allowed more direct journeys into the city centre from the eastern suburbs giving the overall scheme greater viability.

The eastern section of the Outer Rail Loop project was cancelled in the late 1970s because of delays and cost overruns on the Loop (Wirral Line) and Link (Northern Line) projects and local political opposition. Only the western section of the loop was built. The project was abandoned as a working proposal by Merseytravel in the 1980s. Much expense was incurred in constructing a large bridge taking the M62 motorway over the eastern section and the construction of header tunnels south of Liverpool Central station. The route is still largely intact, complete with bridges, although now the eastern section mainly forms the Liverpool Loop Country Park – a walking and cycling trail through the suburbs.

The key components of the Loop were as follows:

  • West Section – The existing Merseyrail Electrics Northern Line from Sandhills in the north (later Aintree on the Ormskirk branch) to Hunts Cross. This section includes the most expensive part of the Outer Rail Loop – the Link Line tunnel under Liverpool city centre – and the reopened and electrified line from Liverpool Central to Hunts Cross.
  • East Section – The former Cheshire Lines Committee North Liverpool Extension Line initially from Hunts Cross to Walton however amended to Aintree. This is now the Country Park.
  • North Section – Originally the Cheshire Lines Committee line from Walton to Kirkdale via the Breeze Hill tunnel. In later versions of the scheme the North Mersey Branch from Aintree to Bootle was substituted. The latter is still intact although only used by maintenance trains whilst the former is now partially built over.
  • Central Section – The central section from Central station to Broad Green in the east of the city, was a later addition to the plan effectively dividing the loop into two sub-loops, one north, one south. City centre access for the towns east of the Liverpool City Region was provided. This included the unrealised Edge Hill Spur scheme from Liverpool Central underground station to Edge Hill using the Waterloo Tunnel and a section of the City Line from Edge Hill to Broad Green. A major junction was to have been formed with the eastern section of the Outer Loop with a six platform underground station to be named Rocket under the car park of the Rocket pub near the M62/Queens Drive road junction.

The Outer Rail Loop would have been double track throughout, using the electrified 750 V DC third rail system of the Merseyrail Electrics network.

Although no official proposals have been made to revive the scheme in recent years, the route is effectively safeguarded with periodic calls being made by local politicians for the revival of the complete project or just the short stretch of route from Hunts Cross to Gateacre. The Gateacre service was the last to operate out of the former Liverpool Central High Level Station prior to its closure in 1972.

Since the postponement of the project, a number of Route Utilisation Strategy documents have mentioned reopening the North Mersey Branch line, the northern section of the loop, to form a passenger link between Bootle and Aintree with stations to serve Ford and Girobank.[61][127]

Edge Hill Spur (reusing tunnels)

Victoria/Waterloo Tunnel portal at Edge Hill Station. The tunnel is an option for the Edge Hill Spur scheme.

In the 1960s and early 1970s, the Edge Hill Spur scheme was proposed to link the east of the city with the central underground section. It would have extended the Merseyrail underground network from Liverpool Central Station to Edge Hill Station using existing freight tunnels. The scheme was dropped, but a junction and two headers tunnels were built south of Central station to facilitate future construction of the Spur during the construction of the Northern Line tunnel.[128]

The construction of the Spur would have connected the City Line branches to the east of Liverpool into the electrified Merseyrail network and importantly the underground section in Liverpool's city centre. An increase in integration and connectivity of the network would have been achieved. The Spur would have also formed the central section of the proposed Outer Rail Loop splitting the loop into two smaller loops (see Outer Loop section). An additional and substantial benefit was diverting local urban trains entering the city from the east underground in the city centre. This would release platform space at Lime Street mainline terminus station for the use of only mid and long-haul mainline routes.

The initial and cheaper proposal was to re-use the 1829 Wapping freight tunnel, by means of two new single-track tunnels branched off the Northern Line tunnel at a new junction named Liverpool Central South Junction, south of Central Station. The Wapping Tunnel would have given access to Edge Hill via the historic Cavendish cutting, built for the 1830 Liverpool and Manchester Railway. Access to the City Line would have been obtained via a flyover to the east of Edge Hill Station over the main lines from Lime Street. This flyover has since been demolished.

In the early 1970s, Liverpool City Council planners proposed an alternative scheme, which was subsequently adopted. This revised route would permit a new underground station to be constructed to serve Liverpool University, behind the Student's Union building in Mount Pleasant. It would extend the two connecting tunnels from Central Station in a large radius curve to the north, passing beneath the mainline Lime Street station approach cutting and accessing Edge Hill via a section of the Waterloo/Victoria Tunnel. On emerging from this tunnel at the existing Edge Hill Station, the route would be on the north side of the main lines thereby removing the need for a flyover.[61]

Although powers were obtained to build this line under the 1975 Merseyside Metropolitan Railway Act, construction was postponed due to the financial cutbacks and political opposition that also halted the Outer Rail Loop project. The east of Liverpool has suffered in many aspects ever since. An attempt was made to revive the project in the mid-1980s but it was found to be not financially viable.

Following the collapse of the Merseytram scheme in 2006, proposals were considered to revive the project, with the route of the tunnels currently safeguarded.[129] Further references are made to the scheme, as a future option, in MerseyTravel's 30-year plan.[77]

A further proposal to resurrect the Edge Hill spur scheme with a new station at Paddington Village was revealed in 2016 by the then Liverpool mayor Joe Anderson, as part of a scheme to extend Liverpool's Knowledge Quarter onto the site of the former Archbishop Blanche School.[130] A feasibility study to reopen the Wapping Tunnel was commissioned and delivered in May 2016. The report found that the Wapping Tunnel was in good condition though suffered from flooding in places and would require some remedial work, but that the concept of reopening the tunnel was viable.[62]

See also

Notes

  1. Merseyrail managed 66 stations until 5 October 2023, when Headbolt Lane opened.[1][2]
  2. Chester station is owned by Network Rail and operated by Transport for Wales. Liverpool Lime Street is owned and managed by Network Rail, however Merseyrail operates the underground platforms.

References

    1. "Train Operating Company Key Statistics, April 2022 to March 2023: Merseyrail" (PDF). Office of Rail and Road. 3 August 2023. Retrieved 12 November 2023.
    2. "Headbolt Lane Station In Kirkby Opens To Merseyrail Services". www.merseyrail.org. Retrieved 13 November 2023.
    3. "Train Operating Company Key Statistics, April 2022 to March 2023: Merseyrail" (PDF). Office of Rail and Road. 3 August 2023. Retrieved 12 November 2023.
    4. "New Merseyrail Managing Director Named".
    5. 1 2 FIMechE, Malcolm Dobell BTech CEng (23 February 2023). "Mersey Electrics Class 777 and system upgrade". Rail Engineer. Retrieved 12 November 2023.
    6. 1 2 3 "Train Operating Company Key Statistics: April 2021 to March 2022" (PDF). Office of Rail and Road. 28 July 2022. Retrieved 3 December 2022.
    7. "Train Operating Company Key Statistics, April 2022 to March 2023: Merseyrail" (PDF). Office of Rail and Road. 3 August 2023. Retrieved 12 November 2023.
    8. "About". Transport UK. Retrieved 12 November 2023.
    9. "Serco and Transport UK". www.merseyrail.org. Retrieved 12 November 2023.
    10. "Northern Rail Electric". Northern Rail. Archived from the original on 10 June 2015. Retrieved 10 June 2015.
    11. "Electrifying Liverpool-Manchester". The Rail Engineer. Ashby-de-la-Zouch. 28 November 2012. Archived from the original on 25 December 2013.
    12. 1 2 3 4 "Merseyrail Network Map". Merseyrail.org. Merseyrail. Archived from the original on 24 December 2022. Retrieved 31 December 2022.
    13. 1 2 3 4 5 "Local Rail Network Map - Merseytravel" (PDF). merseytravel.gov.uk. March 2022. Retrieved 31 December 2022.
    14. 1 2 3 4 5 "Merseyrail Trains History". Merseyrail. Archived from the original on 8 September 2008. Retrieved 20 July 2009.
    15. "Memorandum by Merseytravel (RI 30)". UK Parliament - House of Commons - Select Committee on Environment, Transport and Regional Affairs - Appendices to the Minutes of Evidence. October 2000. Northern, Wirral and City Lines, despite the existence of different operators are marketed and branded as the Merseyrail network serving Merseyside with local identity, fares and ticketing structures reflecting the PTEs policies.
    16. "Liverpool City Region Strategic Rail Study" (PDF). networkrail.co.uk. Network Rail. October 2020. Archived from the original (PDF) on 24 December 2022. Retrieved 31 December 2022. The 'City Lines', providing more frequent and longer-distance services from Liverpool Lime Street to the east.
    17. 1 2 Nugent, Cherie (21 August 2018). "Merseyrail". Rail Professional. Retrieved 31 December 2022.
    18. 1 2 "Timetables - Merseytravel". merseytravel.gov.uk. Merseytravel. Retrieved 31 December 2022.
    19. "MetroCard and Walrus".
    20. "Merseyrail train refurbishment". Railway Gazette. Retrieved 5 February 2015.
    21. 1 2 3 "Merseyrail Class 777 arrives in Liverpool". Railway Gazette. Archived from the original on 6 January 2021. Retrieved 4 February 2020.
    22. O'Dowd, Emily. "Stadler signs £700 million deal to replace the UK's oldest fleet on Liverpool's Merseytravel line". Railway Gazette. Archived from the original on 5 November 2018. Retrieved 4 November 2018.
    23. "Stadler signs contract to build and maintain 52 METRO trains for Liverpool City Region". Stadler Rail. 16 February 2017. Retrieved 15 January 2019.
    24. "Battery trial planned for new EMU fleet". Railway Gazette. Archived from the original on 6 January 2021. Retrieved 4 February 2020.
    25. "'Why I am striking': Train guards write open letter to all passengers". Liverpool Echo. 4 October 2017. Archived from the original on 6 January 2021. Retrieved 28 January 2020.
    26. "All Merseyrail strikes suspended as union hails 'major breakthrough' that could finally end dispute". Liverpool Echo. Archived from the original on 6 January 2021. Retrieved 28 January 2020.
    27. "Merseytravel and Stadler sign new fleet deal, but legal challenge remains". Rail Technology Magazine. 16 February 2017. Archived from the original on 6 January 2021. Retrieved 16 February 2017.
    28. "Construction begins on Kirkdale depot to maintain new Merseyrail fleet". Rail Technology Magazine. 28 September 2017. Archived from the original on 6 January 2021. Retrieved 25 December 2017.
    29. "First new Merseyrail train joins network". BBC News. 23 January 2023. Retrieved 23 January 2023.
    30. Kirwin, Ellen; Thorp, Liam (23 January 2023). "Live updates as first new Merseyrail train finally welcomes passengers". Liverpool Echo. Retrieved 23 January 2023.
    31. 1 2 "Introduction of Merseyrail Class 777 EMUs 'just days away'". Railway Gazette. 18 January 2023. Retrieved 19 January 2023. The Stadler EMUs will initially be used on the Kirkby line, followed by the Ormskirk line and then the Northern and Wirral lines later in the year.
    32. "Initial tests of battery-powered Stadler IPEMU for Merseyrail complete". International Railway Journal. 17 June 2021. Retrieved 7 July 2021.
    33. 1 2 McDonough, Tony (15 July 2021). "Battery breakthrough will see Merseyrail network extended". Liverpool Business News. Retrieved 15 July 2021.
    34. "BLS and Merseyrail operate farewell tour". Today's Railways UK. No. 262. December 2023. p. 58.
    35. "More Class 508s for disposal". Today's Railways UK. No. 262. December 2023. p. 58.
    36. Hamilton, Claire (17 January 2023). "Merseyrail: New trains to enter network on Monday". BBC News. Retrieved 17 January 2023.
    37. "Timetables fully reinstated for Southport and Ormskirk lines on the Merseyrail Network". RailAdvent. Retrieved 20 June 2023.
    38. 1 2 3 4 Booth, Janine (20 August 2023). "New trains on Merseyrail's Wirral lines from Monday". RailAdvent. Retrieved 10 October 2023.
    39. Maund, T.B. (2009). The Wirral Railway and its Predecessors. Gloucestershire: Lightmoor Press. p. 214. ISBN 978-1-899-88938-9. OCLC 604772937.
    40. "RSS moves Merseyrail 507 unit to Newport for disposal". Rail UK. 21 September 2021.
    41. "Stadler Rail's £21m depot completes in Kirkdale". North West Place. 18 November 2019. Archived from the original on 6 January 2021. Retrieved 6 July 2020.
    42. "Route O - Merseyside" (PDF). Network Rail. 30 March 2010. p. 10. Archived from the original (PDF) on 1 October 2012. Retrieved 30 May 2011.
    43. "Network Rail 2009 Strategic Business Plan - Merseyrail Route 21" (PDF). Network Rail. 2009. Archived from the original (PDF) on 7 June 2011. Retrieved 25 July 2009.
    44. "Archived copy" (PDF). moderngov.merseytravel.uk.net. Archived from the original (PDF) on 7 November 2017. Retrieved 11 January 2022.{{cite web}}: CS1 maint: archived copy as title (link)
    45. 1 2 House of Common Briefing Paper SN6521 Railways: franchising policy, 30 September 2015, Louise Butcher
    46. http://www.legislation.gov.uk/uksi/2002/1946/article/4/made Merseyrail Electrics Network Order 2002
    47. "Andy Heath appointed new managing director of Merseyrail". Merseyrail. Archived from the original on 6 January 2021. Retrieved 11 August 2018.
    48. Hodgson, Neil (4 December 2007). "We have taken the 'misery' out of Merseyrail". Liverpool Echo.
    49. Hodgson, Neil (14 December 2007). "Merseyrail trains in first place". Liverpool Echo.
    50. Weston, Alan (11 February 2010). "Merseyrail trains are most reliable in the UK". Liverpool Echo. Retrieved 22 March 2010.
    51. https://dataportal.orr.gov.uk/media/2242/merseyrail-key-statistics-2022-23.pdf
    52. Neild, Larry (5 September 2007). "Merseyrail takes 840 to court over feet on seats". Liverpool Daily Post. Archived from the original on 6 March 2012.
    53. Neild, Larry (11 September 2007). "Is Merseyrail's feet on seats policy too harsh?". Liverpool Daily Post.
    54. "Merseyrail - News and Events". Merseyrail. Archived from the original on 18 April 2008.
    55. "Liverpool Merseyrail". UrbanRail. Archived from the original on 6 August 2020. Retrieved 21 July 2009.
    56. "Birkenhead Monks Ferry". Disused Station. Retrieved 21 July 2009.
    57. "Merseyside Area land use Transportation study (MALTS) project report. | The National Archives". Discovery.nationalarchives.gov.uk. Archived from the original on 6 January 2021. Retrieved 23 July 2016.
    58. "Liverpool City Centre Plan - City Centre Planning Group, 1965"
    59. "Disused Stations: Meols Cop Triangle & Electric Car Sheds".
    60. 1 2 Couch, Chris (2003). City of change and challenge: urban planning and regeneration in Liverpool. Aldershot: Ashgate. ISBN 978-1-84014-857-2
    61. 1 2 3 4 5 6 7 8 Maund, T.B. (2001). Merseyrail electrics: the inside story. Sheffield: NBC Books. OCLC 655126526.
    62. 1 2 "Archived copy" (PDF). Archived from the original (PDF) on 3 March 2018. Retrieved 3 March 2018.{{cite web}}: CS1 maint: archived copy as title (link)
    63. "OPSI Statutory Instrument 2003 No. 1696". OPSI. Retrieved 21 July 2009.
    64. "Liverpool Central High Level". Disused Station. Retrieved 21 July 2009.
    65. "UK's first battery-powered fleet hits the tracks". BBC News. 5 October 2023. Retrieved 17 October 2023.
    66. clare.barber@liverpoolcityregion-ca.gov.uk (3 October 2023). "Next Stop: Headbolt Lane – £80m station served by UK's first battery powered trains to open this week | Liverpool City Region Combined Authority - News". Liverpool City Region Combined Authority. Retrieved 15 October 2023.
    67. "Headbolt Lane Station Frequently Asked Questions". Knowsley News. 4 February 2022. Retrieved 5 February 2022.
    68. "Derailment near Liverpool Central underground station 26 October 2005" (PDF). Rail Accident Investigation Branch. August 2006. Retrieved 13 February 2022.
    69. "Driver hurt as train hits buffers". BBC News. 11 January 2007. Retrieved 14 February 2022.
    70. Office of Rail and Road (29 May 2011). "Merseyrail operator fined £85,000 for runaway train incident" (PDF). Railways Archive. Retrieved 14 February 2022.
    71. "Merseyrail must cut platform gaps after Georgia Varley death". BBC News. 27 November 2012. Retrieved 13 February 2022.
    72. "Train driver convicted after crashing train at nearly three times speed limit - Merseyside". British Transport Police. 9 February 2022. Retrieved 13 February 2022.
    73. "Trains suspended for hours as derailment causes travel chaos". Liverpool Echo. 28 October 2022. Retrieved 31 October 2022.
    74. "Merseyrail releases statement after train derails at Liverpool Central station". Rail Advent. 28 October 2022. Retrieved 31 October 2022.
    75. Nicholson, Abigail (5 October 2023). "New Merseyrai ltrain 'taken out of service' after crash at station". Liverpool Echo. Retrieved 12 October 2023.
    76. "Liverpool City Region Long Term Rail Strategy" (PDF). Merseytravel. Archived from the original (PDF) on 7 September 2014. Retrieved 7 September 2014.
    77. 1 2 3 4 5 6 7 Shennan, Paddy (28 August 2014). "Merseytravel plan to open or reopen host of new stations". Liverpool Echo. Retrieved 30 August 2014.
    78. Network Rail Strategic Development Plan for Merseyrail 2009-2014.
    79. "Battery-powered trains part of Merseyrail expansion plan". BBC News. 15 July 2021.
    80. https://www.networkrail.co.uk/wp-content/uploads/2020/10/Liverpool-City-Region-Strategic-Rail-Study-2020.pdf
    81. Tyrrell, Nick (30 August 2019). "Merseyside set to get two new train stations and replacement ferries". Liverpool Echo. Retrieved 31 August 2019.
    82. Boost for Liverpool's Baltic Triangle area as a further £1.5m invested by Combined Authority in new railway station scheme Liverpool City Region
    83. "New Merseyrail train station plans for Liverpool city centre given huge boost". Liverpool Echo. 6 January 2021.
    84. "New Baltic Triangle station moves closer to reality". Liverpool Business News Daily. 6 January 2021.
    85. "City approves Baltic masterplan including new station". Liverpool Business News Daily.
    86. Baltic Triangle's Masterplan gets city council approval Archived 6 January 2021 at the Wayback Machine Liverpool Baltic Triangle
    87. Humphreys, David (12 April 2022). "Name revealed for new Baltic Triangle train station". Liverpool Echo. Retrieved 12 April 2022.
    88. "Archived copy" (PDF). Archived from the original (PDF) on 10 September 2016. Retrieved 25 October 2016.{{cite web}}: CS1 maint: archived copy as title (link)
    89. 1 2 Schofield, Ben (3 August 2009). "Tram link bid for Liverpool airport". Liverpool Daily Post. Archived from the original on 6 April 2012. Retrieved 20 August 2009.
    90. "Liverpool Airport Rail Links Feasibility Study" (PDF). Merseytravel. Archived from the original (PDF) on 4 March 2018. Retrieved 4 March 2018.
    91. 1 2 3 4 5 6 7 8 "Archived copy" (PDF). Archived from the original (PDF) on 7 November 2017. Retrieved 17 May 2018.{{cite web}}: CS1 maint: archived copy as title (link)
    92. "Rail update: Bi-mode train technology". 20 July 2017. Archived from the original on 6 January 2021. Retrieved 15 January 2019.
    93. 1 2 "New Trains". www.merseyrail.org.
    94. "Battery breakthrough will see Merseyrail network extended". Liverpool Business News. 15 July 2021.
    95. 1 2 3 4 "Welcome to the TravelWise Merseyside website" (PDF). transportmerseyside.org. Archived from the original (PDF) on 28 January 2022.
    96. 1 2 3 4 "Network RUS Electrification" (PDF). October 2009. Archived from the original (PDF) on 12 October 2014. Retrieved 20 October 2013.
    97. 1 2 3 Rudgard, Olivia (5 March 2015). "Two Merseyside lines prioritised for electrification". Liverpool Echo. Retrieved 27 November 2015.
    98. 1 2 "Priority electrification routes sent to Government". North West Place. 6 March 2015. Archived from the original on 6 January 2021. Retrieved 12 January 2017.
    99. 1 2 Lancashire and Cumbria Route Utilisation Strategy Archived 7 June 2011 at the Wayback Machine, Network Rail.
    100. "Borderlands Line Route" (PDF). Borderlands Line. Archived from the original (PDF) on 19 May 2014. Retrieved 9 June 2013.
    101. 1 2 "Long-term planning – Network Rail". www.networkrail.co.uk. Archived from the original on 4 November 2018. Retrieved 4 November 2018.
    102. "Transport for Wales announces Wales and Borders preferred bidder". www.keolisamey.cymru. Archived from the original on 27 June 2018. Retrieved 11 June 2018.
    103. "Vivarail to supply hybrid D-Train fleet in first train deal for new Wales franchise". Rail Technology Magazine. Archived from the original on 6 January 2021. Retrieved 11 June 2018.
    104. "Vivarail and Hoppecke announce long-term supply of batteries for Class 230s - Vivarail". Archived from the original on 6 January 2021. Retrieved 15 January 2019.
    105. Hughes, Owen (10 June 2018). "This is what the new rail franchise will mean for North Wales train passengers". Liverpool Daily Post. Archived from the original on 6 January 2021. Retrieved 11 June 2018.
    106. "Wrexham to Bidston railway line will be 'greatly improved' under new plans". The Leader. Retrieved 20 July 2021.
    107. "Battery-powered trains part of Merseyrail expansion plan". BBC News. 15 July 2021.
    108. "Battery-powered trains part of Merseyrail expansion plan". BBC News. 15 July 2021.
    109. https://assets.publishing.service.gov.uk/government/uploads/system/uploads/attachment_data/file/1038561/integrated-rail-plan-for-the-north-and-midlands-web-version.pdf
    110. Transport debate in Parliament 27 April 2011, House of Commons.
    111. "Merseytravel Committee Rail Development And Delivery" (PDF). Merseytravel. Archived from the original (PDF) on 20 December 2016. Retrieved 6 December 2016.
    112. "Liverpool City Region Combined Authority, Long Term Rail Strategy" (PDF). October 2017. p. 40. Archived from the original (PDF) on 22 December 2018. Retrieved 21 December 2018.
    113. "Disused Stations: Canada Dock Station". subbrit.org.uk. Archived from the original on 6 January 2021. Retrieved 23 September 2005.
    114. 1 2 Rail Electrification Document, Department for Transport.
    115. 1 2 Merseyside Route Utilisation Strategy Archived 7 April 2009 at the Wayback Machine. Network Rail.
    116. "Balfour Beatty wins second phase electrification contract in UK". Railway Technology. 11 October 2012. Retrieved 5 February 2015.
    117. Johnson, Mark (15 November 2011). "Liverpool £210m River Mersey terminal to go ahead after dredging permission given". Liverpool Daily Post. Archived from the original on 26 February 2012. Retrieved 1 January 2019.
    118. Tyrrell, Nick (17 December 2019). "Work starts to figure out if Anfield train station could be built". Liverpool Echo. Archived from the original on 6 January 2021. Retrieved 22 December 2019.
    119. "Operators call for new rail lines". BBC News. 15 June 2009. Archived from the original on 16 June 2009. Retrieved 15 June 2009.
    120. "Connecting Communities – Expanding Access to the Rail Network" (PDF). London: Association of Train Operating Companies. June 2009. Retrieved 7 September 2018.
    121. "Skelmersdale Station". Disused Stations. Archived from the original on 6 January 2021. Retrieved 5 February 2015.
    122. "Skelmersdale Rail Link" (PDF). Merseytravel. Archived from the original (PDF) on 8 December 2015. Retrieved 27 November 2015.
    123. "Preferred site for Skelmersdale's first railway station revealed". BBC News. 2 February 2017. Retrieved 2 February 2017.
    124. Lopez, Jamie (10 April 2020). "Government boost to reopen Skelmersdale rail link". LancsLive.
    125. Lopez, Jamie (8 July 2022). "Skelmersdale rail station plan rejected in decision branded a 'cruel joke'". LancsLive. Retrieved 17 July 2022.
    126. Cheshire Lines Committee Lines: North Liverpool Extension Line, Southport and Cheshire Lines Extension Railway, Garston and Liverpool Railway. General Books LLC. 2010. ISBN 978-1-158-35627-0.
    127. http://www.liverpool.gov.uk/Images/tcm21-170943.pdf
    128. "Eighth wonder". Rail Engineer. 21 October 2016. Archived from the original on 15 August 2018. Retrieved 4 November 2018.
    129. Coligan, Nick (17 July 2006). "The trams are dead, long live the train". Liverpool Echo. Archived from the original on 16 May 2011. Retrieved 10 September 2008.
    130. Neild, Larry (13 June 2016). "REVEALED: Liverpool set to get its own Paddington station". Liverpool Confidential. Archived from the original on 6 January 2021. Retrieved 23 July 2016.

    Further reading

    • Hilbert, Martyn (2016). Merseyrail Electric. Fonthill Media. ISBN 978-1-78155-513-2.
    • Maund, T.B. (2001). Merseyrail Electrics: The Inside Story. NBC Books. ASIN B0047EA3HU. OCLC 655126526.
    • Merseyside Passenger Transport Executive (1978). The Story of Merseyrail. Merseyside Passenger Transport Executive. ASIN B000MAYEK0. OCLC 8740619.
    • Rapson, David (August 1983). "The Mersey beat". Rail Enthusiast. EMAP National Publications. pp. 26–31. ISSN 0262-561X. OCLC 49957965.
    This article is issued from Wikipedia. The text is licensed under Creative Commons - Attribution - Sharealike. Additional terms may apply for the media files.